| Paraxenetus | |
|---|---|
![]() | |
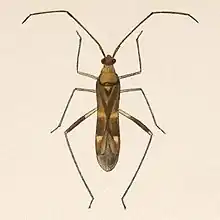
| Paraxenetus bracteatus | |
| Scientific classification | |
| Domain: | Eukaryota |
| Kingdom: | Animalia |
| Phylum: | Arthropoda |
| Class: | Insecta |
| Order: | Hemiptera |
| Suborder: | Heteroptera |
| Family: | Miridae |
| Subfamily: | Mirinae |
| Tribe: | Herdoniini |
| Genus: | Paraxenetus Reuter, 1907 |
Paraxenetus is a genus of plant bugs in the family Miridae. There are about 17 described species in Paraxenetus.[1][2][3]

Paraxenetus guttulatus
Species
These 17 species belong to the genus Paraxenetus:
- Paraxenetus albonotatus Carvalho, 1988
- Paraxenetus alvarengai Carvalho & Ferreira, 1973
- Paraxenetus annulicornis Reuter, 1907
- Paraxenetus aspersus Carvalho & Ferreira, 1973
- Paraxenetus bahianus Carvalho & Ferreira, 1973
- Paraxenetus bracteatus (Distant, 1883)
- Paraxenetus brailovskyi Schaffner & Carvalho, 1985
- Paraxenetus brasilianus Carvalho & Ferreira, 1973
- Paraxenetus cuiabanus Carvalho & Ferreira, 1973
- Paraxenetus cuneopunctatus Carvalho, 1988
- Paraxenetus guttulatus (Uhler, 1887)
- Paraxenetus minusculus Carvalho & Ferreira, 1973
- Paraxenetus paranaensis Carvalho & Ferreira, 1973
- Paraxenetus pirapora Carvalho & Wallerstein, 1978
- Paraxenetus rubricuneus Carvalho, 1988
- Paraxenetus seabrai Carvalho & Ferreira, 1973
- Paraxenetus trifasciatus Carvalho & Wallerstein, 1978
References
- ↑ "Paraxenetus Report". Integrated Taxonomic Information System. Retrieved 2019-09-23.
- ↑ "Paraxenetus". GBIF. Retrieved 2019-09-23.
- ↑ "Paraxenetus genus Information". BugGuide.net. Retrieved 2019-09-23.
Further reading
- Kerzhner, I. M.; Josifov, M. (1999). Aukema, Berend; Rieger, Christian (eds.). Catalogue of the Heteroptera of the Palaearctic Region, Vol. 3: Cimicimorpha II: Miridae. The Netherlands Entomological Society. ISBN 978-90-71912-19-1.
- "On-line Systematic Catalog of Plant Bugs". American Museum of Natural History. Retrieved 2019-07-02.
- Schuh, Randall T.; Weirauch, Christiane; Wheeler, Ward C. (2009). "Phylogenetic relationships within the Cimicomorpha (Hemiptera: Heteroptera): a total-evidence analysis". Systematic Entomology. 34 (1): 15–48. CiteSeerX 10.1.1.498.8756. doi:10.1111/j.1365-3113.2008.00436.x.
External links
Media related to Paraxenetus at Wikimedia Commons
This article is issued from Wikipedia. The text is licensed under Creative Commons - Attribution - Sharealike. Additional terms may apply for the media files.
